Deadly super typhoon charges toward US territory in just hours with 173mph winds and blackout threat
Daily Mail
—
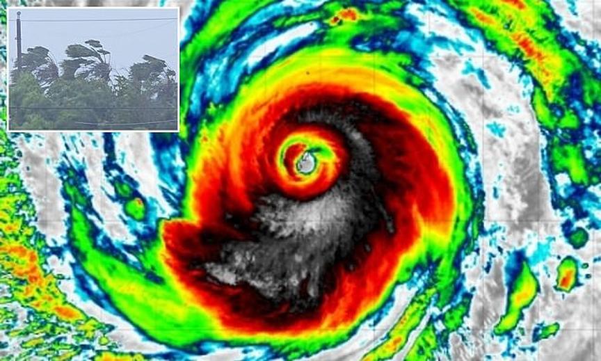
A massive storm is headed straight for thousands of Americans in a key military stronghold for the US. Forecasters warn it could be in the biggest storm in eight years.
Super Typhoon Sinlaku Hits Pacific
-
Monster typhoon bears down on US-controlled islands
The Hill —
-
Major storm hitting remote US islands, Saipan mayor warns of danger
AP News —
-
Flying tree limbs, collapsed buildings as major typhoon in Pacific bears down on remote US islands
The Independent —
-
Super Typhoon Sinlaku in the Pacific Ocean batters remote U.S. islands with heavy winds and rains
The Globe and Mail —
-
Super Typhoon Sinlaku: US Northern Mariana Islands’ and Guam’s rapidly intensifying storm
Times Of India —